조황관리HOME / 조황관리 / 상세정보

제목 : 11/30 우럭낚시 4짜부터 씨알도 마리수도 만만쿨~ 조황입니다.
등록일 : 2025-11-30

◇ 장고항 선상낚시 배낚시 바다낚시 낚시배 
     서해 동산피싱 "동산호" 우럭낚시 조황

날짜 : 11월30일 (일요일)
날씨 : 맑음
물때 : 2물
성적 : 우럭 볼락 

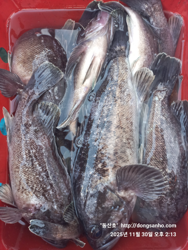
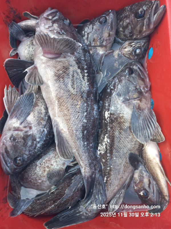
 오늘도우럭낚시 다녀왔읍니다.

우럭 4짜부터 씨알도 마리수도 굿~
오전에 미리 만쿨하신분들은 만만쿨로 가져온 쿨러가 꽉~
아쉽게도 오늘 한분만 만쿨 미달이네요.

오늘 하루도 수고들하셨습니다.

☆출조문자 확인후 궁금한 사항이 있으시면 꼭 문의주세요.

※12월 1월 2월 쭈욱~ 우럭낚시 예약진행중입니다.
※출조일정은 밴드홈 공지사항 예약현황에서 참고하세요.
※예약문의 : 010-8771-5168

20251130_074430.jpg


20251130_085519.jpg


20251130_085646.jpg


20251130_090732.jpg


20251130_102130.jpg


20251130_102217.jpg


20251130_102321.jpg


20251130_120345.jpg


20251130_130637.jpg


20251130_132358.jpg


20251130_132705.jpg


20251130_140424.jpg


20251130_141316.jpg


20251130_141334.jpg


20251130_141417.jpg


20251130_141548.jpg


20251130_141720.jpg


20251130_143314.jpg


20251130_143403.jpg


20251130_143504(0).jpg

 



*** 장고항 선상낚시 동산피싱 예약 안내 ***


예약문의 : 010-8771-5168

오시는길 : 충남 당진시 석문면 장고항리1452 (동산호)

모바일.gif



Top