조황관리HOME / 조황관리 / 상세정보

제목 : 12/7 우럭낚시 9물 사릿물 둘째날 조황입니다.
등록일 : 2025-12-08

◇ 장고항 선상낚시 배낚시 바다낚시 낚시배 
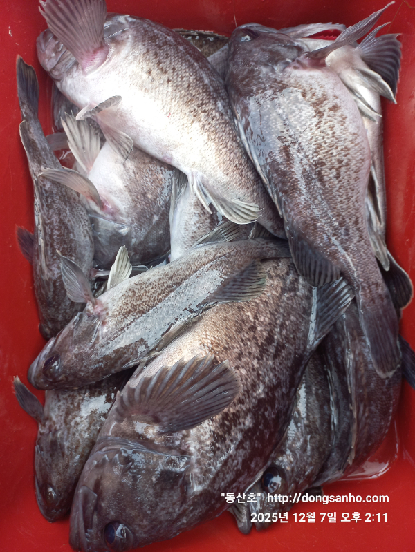
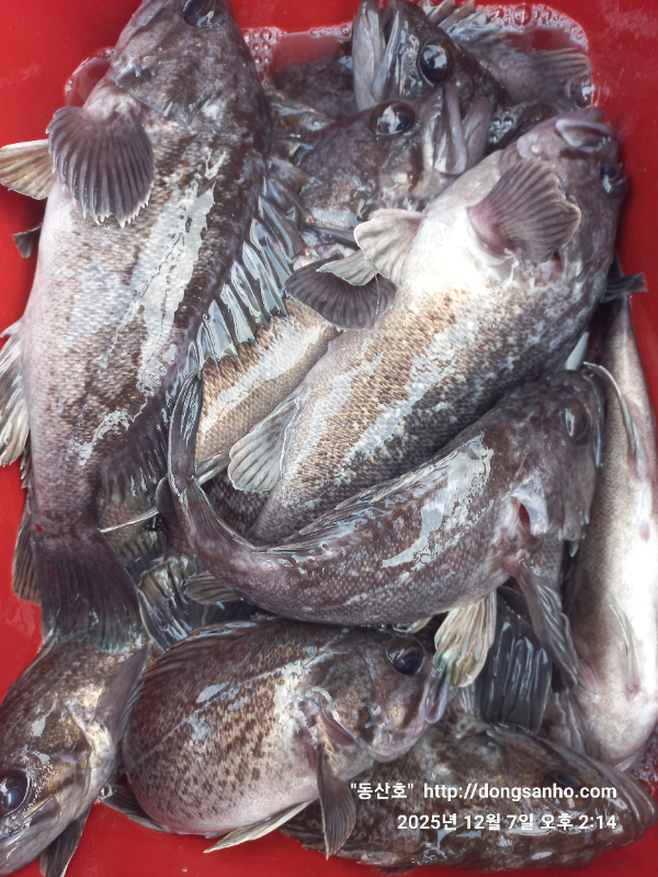
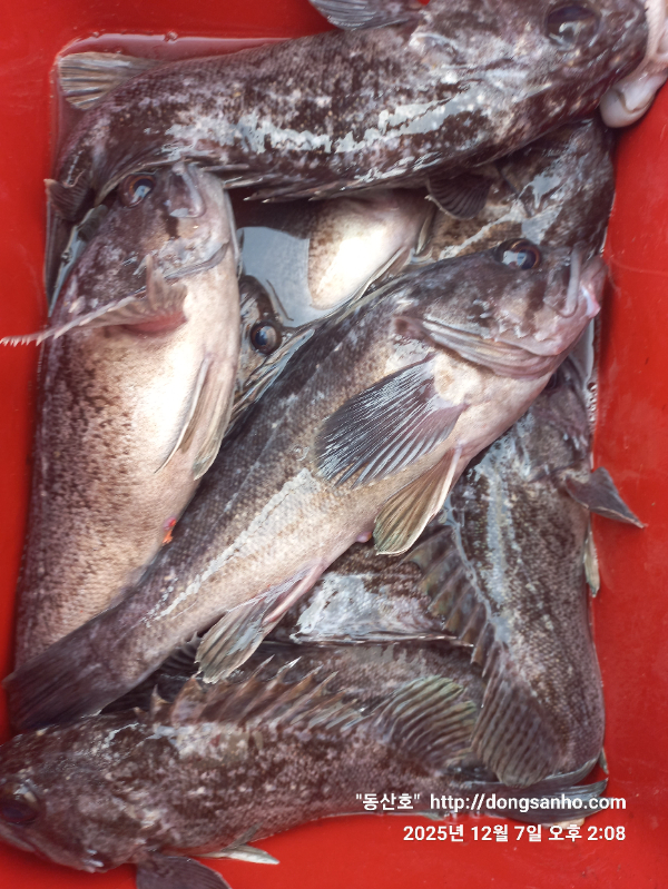
     서해 동산피싱 "동산호" 우럭낚시 조황

날짜 : 12월7일 (일요일)
날씨 : 오전/장판  오후/똥바람
물때 : 9물 (사릿물)
성적 : 광어 우럭 볼락 

 오늘도 사릿물에 우럭낚시 다녀왔읍니다.

이번 물때에서 오늘이 물이 가장 쎈날
다행히도 오전에 날씨가 많이 도와주어서 어제보다는 
오늘이 전체 조황이 더 좋네요.
모든분들이 드실만큼씩 충분히 들고가셨네요.

다음달 1월부터는 사릿물에는 출조 패스~ 
물때 13물~4물까지만 우럭낚시 진행합니다.

오늘 하루도 수고들하셨습니다.

☆출조문자 확인후 궁금한 사항이 있으시면 꼭 문의주세요.

※12월 1월 2월 쭈욱~ 우럭낚시 예약진행중입니다.
※예약문의 : 010-8771-5168

20251207_103410.jpg


20251207_140331.jpg


20251207_140843.jpg


20251207_141133.jpg


20251207_141316.jpg


20251207_141416.jpg


20251207_141530.jpg


20251207_141610.jpg


20251207_141726.jpg


20251207_141832.jpg


20251207_142942.jpg

 



*** 장고항 선상낚시 동산피싱 예약 안내 ***


예약문의 : 010-8771-5168

오시는길 : 충남 당진시 석문면 장고항리1452 (동산호)

모바일.gif



Top