조황관리HOME / 조황관리 / 상세정보

제목 : 12/12 우럭낚시 조황입니다.
등록일 : 2025-12-12

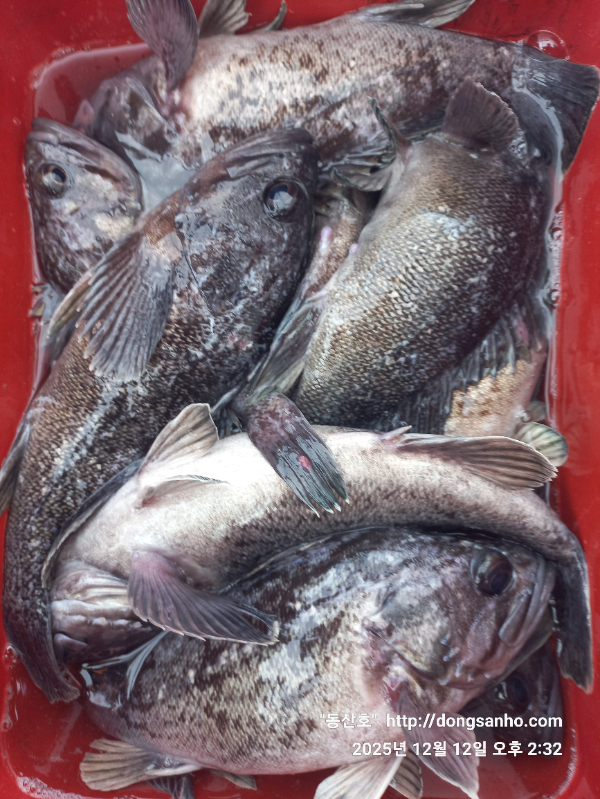
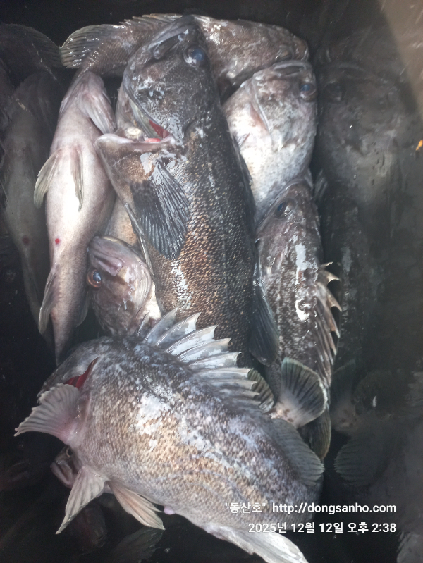
◇ 장고항 선상낚시 배낚시 바다낚시 낚시배 
     서해 동산피싱 "동산호" 우럭낚시 조황

날짜 : 12월12일 (금요일)
날씨 : 맑음
물때 : 조금
성적 : 광어 우럭 볼락 

겨울 날씨로 이제는 띠엄띠엄 출조하네요.

기온도 떨어지고 수온이 떨어지고는 있지만은 아직까지는 
물때 날씨만 도와주면 전체 조황은 좋네요.


오늘 하루도 수고들하셨습니다.

※12월 1월 2월 쭈욱~ 우럭낚시 예약진행중입니다.
※예약문의 : 010-8771-5168

20251212_143156.jpg


20251212_143253.jpg


20251212_143356.jpg


20251212_143504.jpg


20251212_143701.jpg


20251212_143753.jpg


20251212_143844.jpg


20251212_144320.jpg

 



*** 장고항 선상낚시 동산피싱 예약 안내 ***


예약문의 : 010-8771-5168

오시는길 : 충남 당진시 석문면 장고항리1452 (동산호)

모바일.gif



Top