조황관리HOME / 조황관리 / 상세정보

제목 : 12/15 겨울 우럭낚시 조황입니다.
등록일 : 2025-12-15

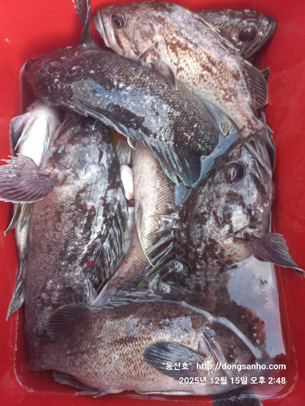
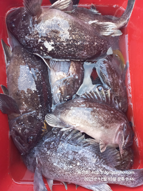
◇ 장고항 선상낚시 배낚시 바다낚시 낚시배 
     서해 동산피싱 "동산호" 우럭낚시 조황

날짜 : 12월15일 (월요일)
날씨 : 흐림 
물때 : 2물
성적 : 우럭 볼락 

겨울날씨 하루건너서 기상악화로 출조가 어렵네요.

어제그제 비오고 바람불고 수온이 급하강했네요.
오늘도 열심히 돌고돌아서 드실만큼씩은 들고 가셨네요.

1월 물때부터는 저수온기간입니다.
예약하실때 마음을 비우고 예약하세요.

오늘 하루도 수고들하셨습니다.
 
※12월 1월 2월 쭈욱~ 우럭낚시 예약진행중입니다.
※1~2월 저수온기간 전화예약 부탁합니다.
※예약문의 : 010-8771-5168

20251215_144520.jpg


20251215_144627.jpg


20251215_144800.jpg


20251215_144841.jpg


20251215_144900.jpg


20251215_145003.jpg


20251215_145134.jpg


20251215_145229.jpg

 



*** 장고항 선상낚시 동산피싱 예약 안내 ***


예약문의 : 010-8771-5168

오시는길 : 충남 당진시 석문면 장고항리1452 (동산호)

모바일.gif



Top