조황관리HOME / 조황관리 / 상세정보

제목 : 12/20 겨울 우럭낚시 7물 사릿물 조황입니다.
등록일 : 2025-12-20

◇ 장고항 선상낚시 배낚시 바다낚시 낚시배 
     서해 동산피싱 "동산호" 우럭낚시 조황

날짜 : 12월20일 (토요일)
날씨 : 오전(흐림) 오후(똥바람)
물때 : 7물 (사릿물)
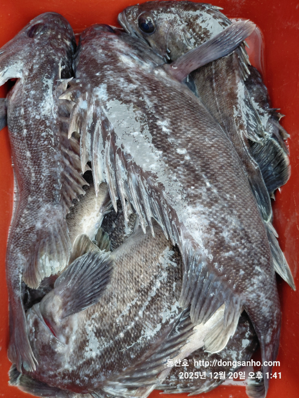
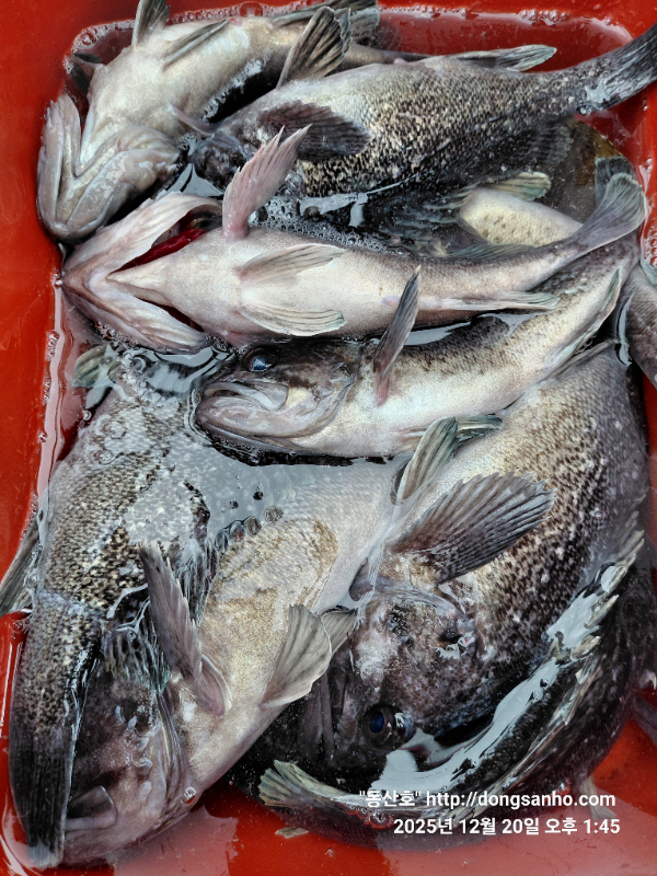
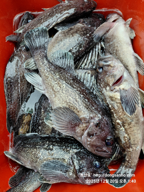
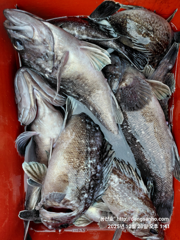
성적 : 우럭 볼락 

겨울 우럭낚시 다녀왔습니다.

이제 사릿물때 출조는 아주 마니마니 힘드네요.
오늘 물도쎄고 우럭 보기도 어렵고 점심전에 짧게 나와주었지만
개인별 조황차이가 많이있네요.

1~2월 저수온 영등철기간에는 물때 13~4물때 기상확인후
가능하면 전화예약으로 진행합니다.

오늘 하루도 수고들하셨습니다.

※12월 1월 2월 쭈욱~ 우럭낚시 예약진행중입니다.
※예약문의 : 010-8771-5168

20251220_101725.jpg


20251220_110420.jpg


20251220_112932.jpg


20251220_134007.jpg


20251220_134100.jpg


20251220_134121.jpg


20251220_134155.jpg


20251220_134220.jpg


20251220_134345.jpg


20251220_134438.jpg


20251220_134543.jpg

 



*** 장고항 선상낚시 동산피싱 예약 안내 ***


예약문의 : 010-8771-5168

오시는길 : 충남 당진시 석문면 장고항리1452 (동산호)

모바일.gif



Top