조황관리HOME / 조황관리 / 상세정보

제목 : 2/14 저수온 우럭낚시 내만권 조황입니다.
등록일 : 2026-02-15

◇ 장고항 선상낚시 배낚시 바다낚시 낚시배 
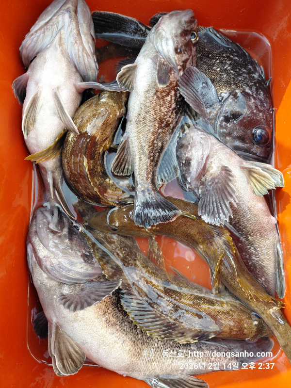
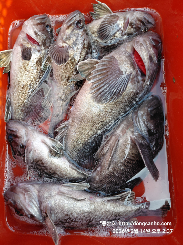
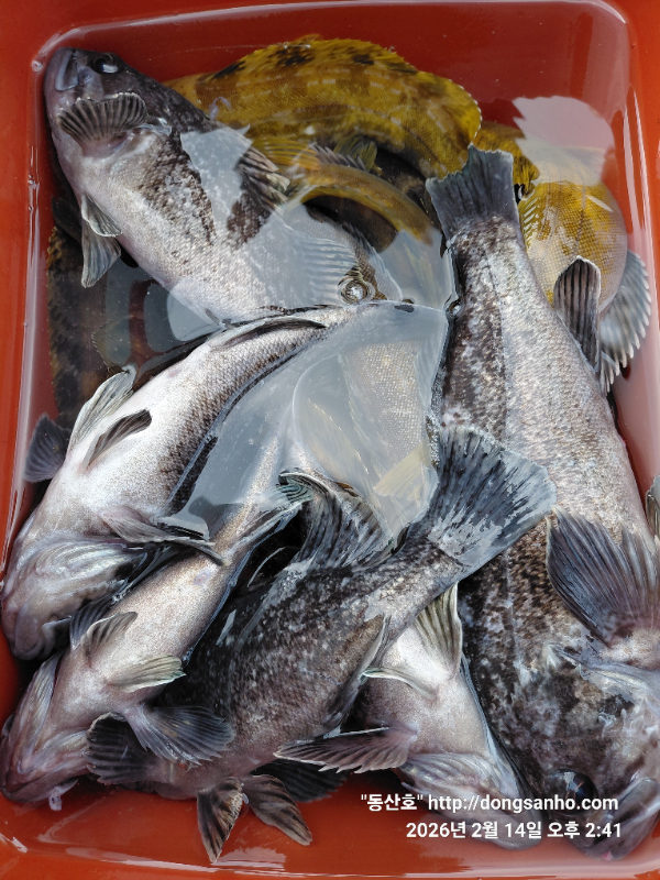
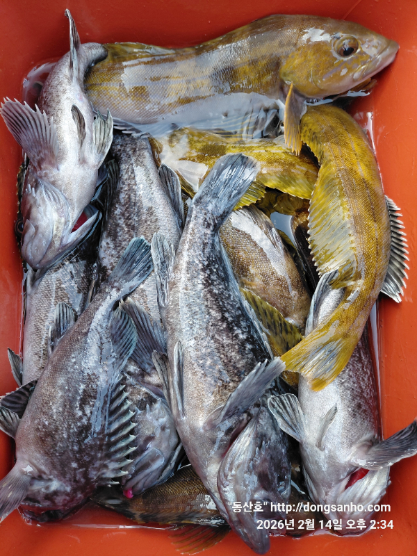
     서해 동산피싱 "동산호" 우럭낚시 조황

날짜 : 2월14일 (토요일)
날씨 : 흐림 (옅은 해무)
물때 : 3물 
성적 : 우럭 노래미 볼락 

1월 2월 기상이 계속 안좋아서 몇일 출조을 못했네요.
오늘은 다행히도 기상이 허락해주어서 바다에 다녀왔습니다.

저수온기간 마리수 조황을 기대하기보다는 콧바람 맞으러 출조
오늘 우럭보다는 노래미가 좀 물어 주어서 잘해주신분들은 20수이상
그외분들는 10수전후들하셨네요.

오늘 하루도 수고들하셨습니다.

♡♡ 즐거운 설명절 잘들보내시고 따뜻해지면 바다에서 뵙겠습니다.
    모든분 올해에도 어복이충만하시고 행복하세요~♡♡

※1월 2월 저수온 영등철기간에는 물때 13~4물때 기상확인후
   가능하면 전화예약으로 진행합니다.
※예약문의 : 010-8771-5168

20260214_143429.jpg


20260214_143524.jpg


20260214_143613.jpg


20260214_143704.jpg


20260214_143740.jpg


20260214_143836.jpg


20260214_144029.jpg


20260214_144151.jpg


20260214_144400.jpg

 



*** 장고항 선상낚시 동산피싱 예약 안내 ***


예약문의 : 010-8771-5168

오시는길 : 충남 당진시 석문면 장고항리1452 (동산호)

모바일.gif



Top