조황관리HOME / 조황관리 / 상세정보

제목 : 2/27 내만권 우럭낚시 저수온 영등철 조황입니다.
등록일 : 2026-02-28
◇ 장고항 선상낚시 배낚시 바다낚시 낚시배 
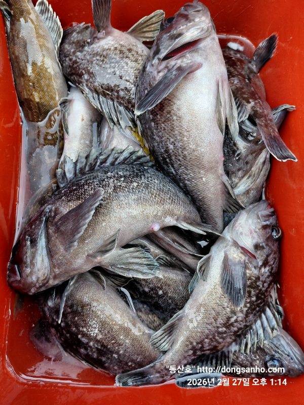
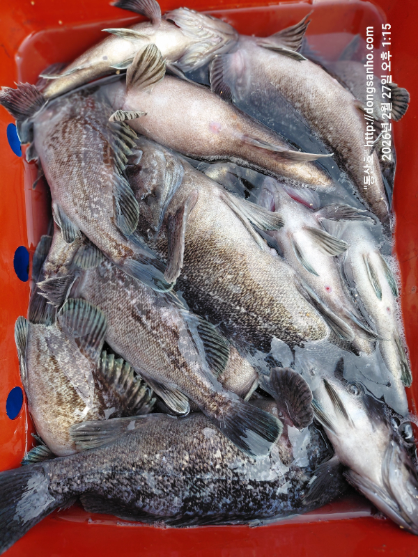
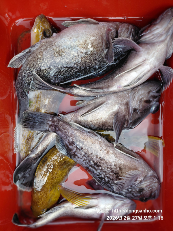
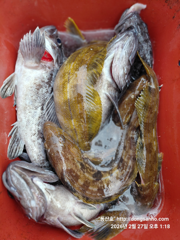
     서해 동산피싱 "동산호" 우럭낚시 조황

날짜 : 2월27일 (금요일)
날씨 : 맑음
물때 : 2물 
성적 : 우럭 노래미 볼락 

저수온기간 오늘도 마음을 비우고 콧바람 출조했습니다.
날씨가 조금 따뜻했지만 수온은 아직도 5°C전후 저수온

입질이 매우 약해서 초보님들도 계셨지만 입질 패턴을 잘 
파악한분들 못한분들 개인별 마리수 차이가 많이나네요.
오늘 중간은없고 20수이상분들 아니면 10수미만 극과극

오늘 하루도 수고들하셨습니다.

※1월 2월 저수온 영등철기간에는 물때 13~4물때 기상확인후
   가능하면 전화예약으로 진행합니다.
※예약문의 : 010-8771-5168

20260227_131209.jpg


20260227_131358.jpg


20260227_131412.jpg


20260227_131443.jpg


20260227_131517.jpg


20260227_131639.jpg


20260227_131714.jpg


20260227_131852.jpg


20260227_131209.jpg


20260227_131257.jpg


20260227_131544.jpg


20260227_131608.jpg
 



*** 장고항 선상낚시 동산피싱 예약 안내 ***


예약문의 : 010-8771-5168

오시는길 : 충남 당진시 석문면 장고항리1452 (동산호)

모바일.gif



Top