조황관리HOME / 조황관리 / 상세정보

제목 : 3/1 우럭낚시 내만권 영등철 저수온기간 우럭조황입니다.
등록일 : 2026-03-02

◇ 장고항 선상낚시 배낚시 바다낚시 낚시배 
     서해 동산피싱 "동산호" 우럭낚시 조황

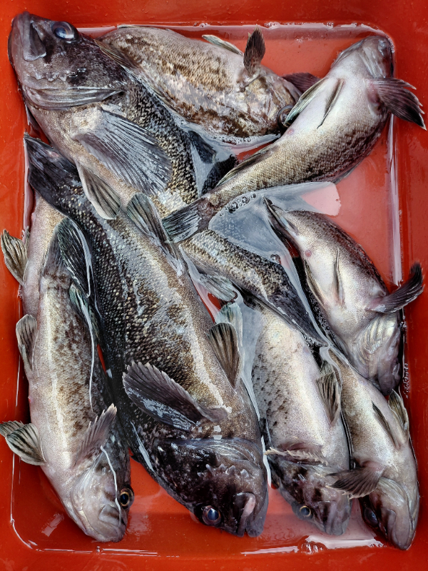
날짜 : 3월1일 (일요일)
날씨 : 흐림
물때 : 4물 
성적 : 우럭 노래미 볼락 

3일째 오늘도 마음을 비우고 콧바람 출조했습니다.
수온변동없음 5°C전후 저수온기간

저수온 약한입질 패턴을 파악하지 못하면 힘든기간
출발전 말씀드리죠
일단 입질이오면 무조건 참고 기다리고 기다리고 기다리고
물고기가 안물고 그냥 가더라도 또 참아야 참아야합니다.
3일간 낚시를 진행했는데 역시나 낚시를 많이했어도
영등철기간은 저도 손님도 많이 어렵네요.

오늘 하루도 수고들하셨습니다.

※1~3월 저수온 영등철기간에는 물때 13~4물때 기상확인후
   가능하면 전화예약으로 진행합니다.
※예약문의 : 010-8771-5168

20260301_144529.jpg


20260301_144634.jpg


20260301_144711.jpg


20260301_144747.jpg


20260301_144816.jpg


20260301_144858.jpg


20260301_144939.jpg


20260301_145049.jpg


20260301_145231.jpg


20260301_145553.jpg

 



*** 장고항 선상낚시 동산피싱 예약 안내 ***


예약문의 : 010-8771-5168

오시는길 : 충남 당진시 석문면 장고항리1452 (동산호)

모바일.gif



Top