조황관리HOME / 조황관리 / 상세정보

제목 : 3/12~14 우럭낚시 내만권 저수온 3일간 통합 조황입니다.
등록일 : 2026-03-15




□ 선상낚시 배낚시 바다낚시 낚시배 
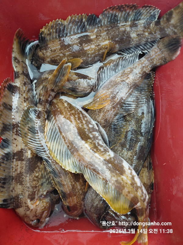
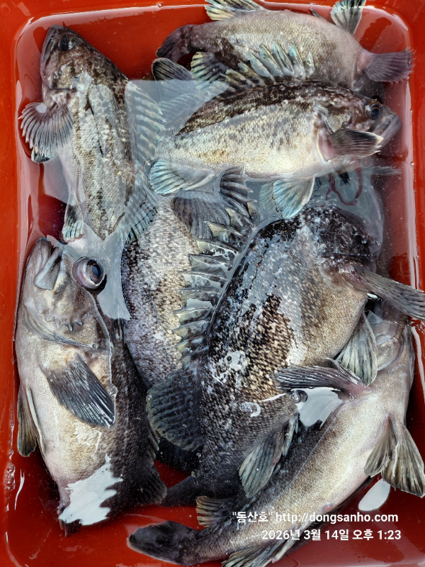
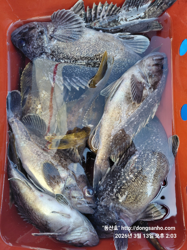
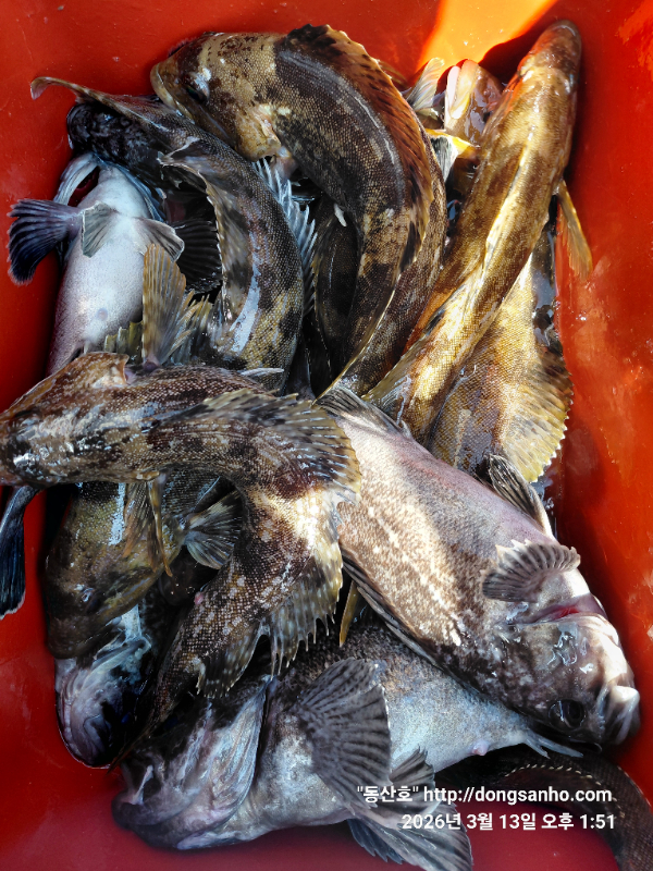
     서해 동산피싱 "동산호" 우럭낚시 조황

날짜 : 3/12~14 (3일간)
날씨 : 맑음
물때 : 무쉬~2물
성적 : 우럭 노래미 볼락 삼식이 주꾸미

3일간 몇장씩 통합으로 조황사진 참고만하세요.
수온변동 1~2°C 올라서 현재 6~8°C 그래도 저수온기간

이번주 물때도 2월말 지난 물때와 큰변동은 없네요.
노래미가 조금 더 많이 보이기 시작한거 우럭 노래미 포함
많이는 총30수 이상도 있었지만 개인별 조황차이가 좀 있네요.
다음 물때 일정은 수온이 더 오르는 3/25일부터 뵙겠습니다.

추운 날씨에 모든분들 수고들하셨습니다.

※1~3월 저수온 영등철기간에는 물때 13~4물때 기상확인후
   가능하면 전화예약으로 진행합니다.
※예약문의 : 010-8771-5168

20260312_143745.jpg


20260313_135018.jpg


20260313_135040.jpg


20260313_135159.jpg


20260313_135433.jpg


20260313_140334.jpg


20260313_140443.jpg


20260313_140627.jpg


20260314_105741.jpg


20260314_105845.jpg


20260314_113850.jpg


20260314_132318.jpg


20260314_132435.jpg


20260314_132641.jpg


20260314_132755.jpg


20260314_132931.jpg


20260314_133128.jpg


20260314_133735.jpg


20260314_135438.jpg

 



*** 장고항 선상낚시 동산피싱 예약 안내 ***


예약문의 : 010-8771-5168

오시는길 : 충남 당진시 석문면 장고항리1452 (동산호)

모바일.gif



Top