조황관리HOME / 조황관리 / 상세정보

제목 : 3/26~28 내만권 우럭낚시 3일간 통합조황입니다.
등록일 : 2026-03-28

◇ 장고항 선상낚시 배낚시 바다낚시 낚시배 
     서해 동산피싱 "동산호" 우럭낚시 조황

날짜 : 3/26~28 (3일간)
날씨 : 맑음 (매일매일 진한해무)
물때 : 조금~1물
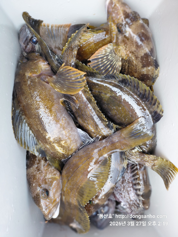
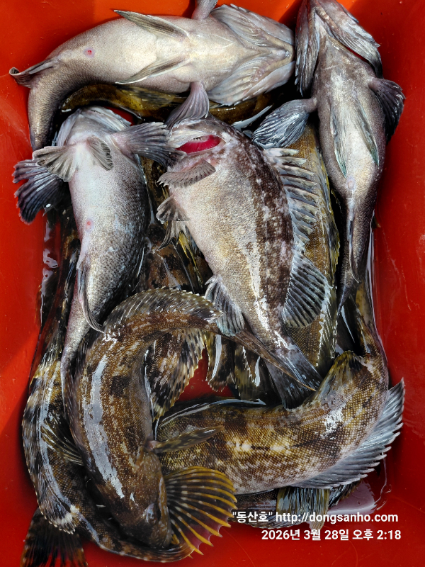
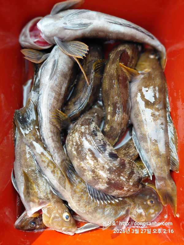
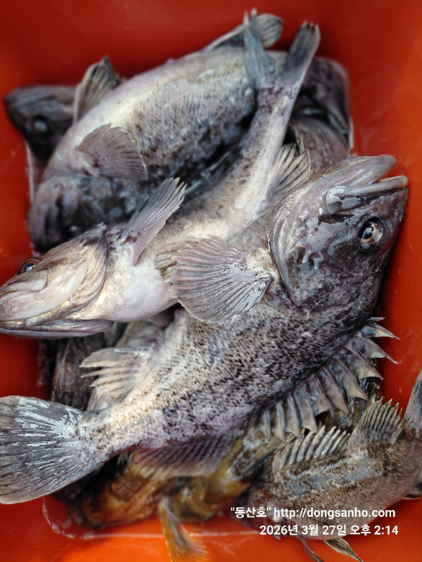
성적 : 우럭 노래미 볼락

3일간 몇장씩 통합으로 조황사진 참고만하세요.
수온변동 8~9°C까지 많이 올랐네요.

이번물때도 초보님도 많았지만 개인별 조황 차이가 많이나네요.
활성도가 많이 올랐어도 우럭 노래미 입질이 찔끔찔끔
우럭보다는 노래미 활성도가 조금 더 좋고 마리수도 좋네요.
낮은 수온에 노래미 육질이 쫄낏쫄낏 회맛이 짱~^^

찾아주신 모든분들 수고들하셨습니다.

☆요즘 진한해무로 출조하기가 매일매일 어렵네요.
    출조전날 안내문자 꼭확인하세요.

※가을 쭈갑낚시 평일예약은 4월1일부터 예약진행 일정표확인
   주말휴일 예약은 5월부터 예약진행 일정표확인하세요.
※예약문의 : 010-8771-5168

20260326_120032.jpg


20260326_131905.jpg


20260326_131922.jpg


20260326_132032.jpg


20260326_132128.jpg


20260326_132214.jpg


20260326_132337.jpg


20260326_132411.jpg


20260326_132623.jpg


20260327_141240.jpg


20260327_141354.jpg


20260327_141443.jpg


20260327_141549.jpg


20260327_141656.jpg


20260327_141859.jpg


20260327_141932.jpg


20260328_141803.jpg


20260328_141839.jpg


20260328_141933.jpg


20260328_142038.jpg

 



*** 장고항 선상낚시 동산피싱 예약 안내 ***


예약문의 : 010-8771-5168

오시는길 : 충남 당진시 석문면 장고항리1452 (동산호)

모바일.gif



Top