조황관리HOME / 조황관리 / 상세정보

제목 : 3/30 봄 우럭낚시 내만권 조황입니다.
등록일 : 2026-03-31

◇ 장고항 선상낚시 배낚시 바다낚시 낚시배 
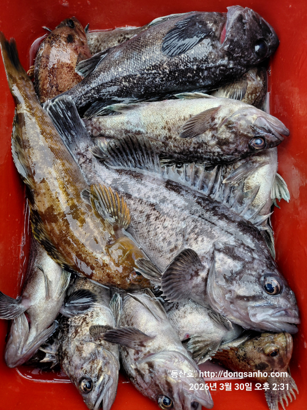
     서해 동산피싱 "동산호" 우럭낚시 조황

날짜 : 3/30
날씨 : 맑음 
물때 : 3물
성적 : 우럭 노래미 볼락

3월 마지막주 이번물때 마무리 출조
우럭낚시 5일째 마지막 마무리 조황입니다.

수온도 조금씩 오르고 고기 입질도 조금씩 살아나고
이번 물때에는 매일 해무만 없었으면 참좋은 날씨였는데 
포인트 이동시 위험요소가 커서 더 많은곳을 찍어보지 못해
좀 아쉬운점이 있네요.
해무가 다행히도 어제 조금있었고 오늘은 해무가 없었네요.

찾아주신 모든분들 수고들하셨습니다.

☆ 출조전날 안내문자 꼭 확인하세요.

※가을 쭈갑낚시 평일예약은 4월1일부터 예약진행 일정표확인
  주말휴일 예약은 5월부터 예약진행 일정표확인하세요.
※출조일정은 밴드홈 공지사항 예약현황에서 참고하세요.
※예약문의 : 010-8771-5168


20260330_140958.jpg


20260330_142240.jpg


20260330_142425.jpg


20260330_142604.jpg


20260330_142626.jpg


20260330_142927.jpg


20260330_143144.jpg


20260330_143453.jpg


20260330_143539.jpg


20260330_143640.jpg

 



*** 장고항 선상낚시 동산피싱 예약 안내 ***


예약문의 : 010-8771-5168

오시는길 : 충남 당진시 석문면 장고항리1452 (동산호)

모바일.gif



Top