조황관리HOME / 조황관리 / 상세정보

제목 : 4월10~12일 첫물때시작 우럭낚시 조황입니다.
등록일 : 2026-04-13

◇ 장고항 선상낚시 배낚시 바다낚시 낚시배 
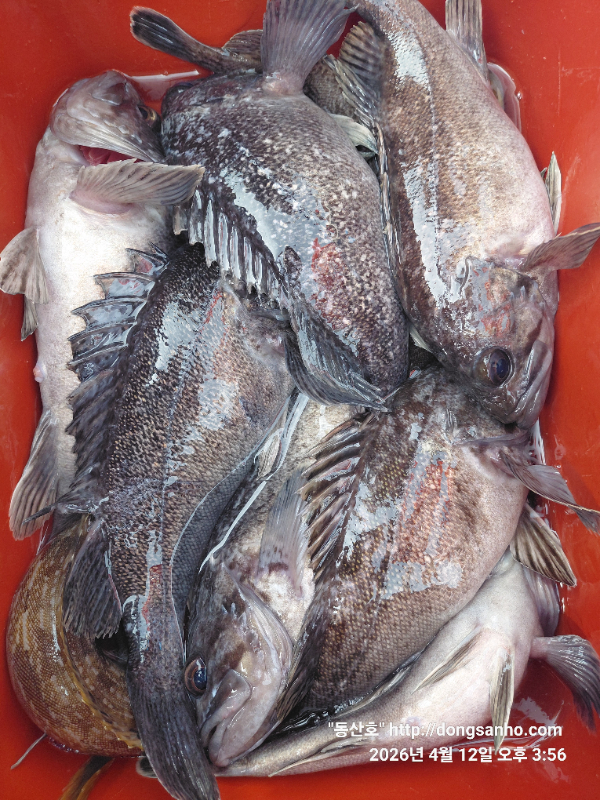
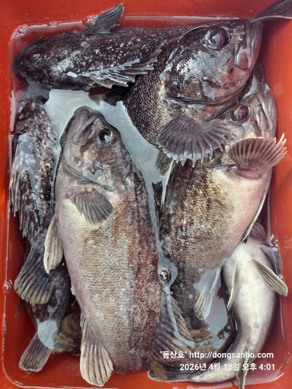
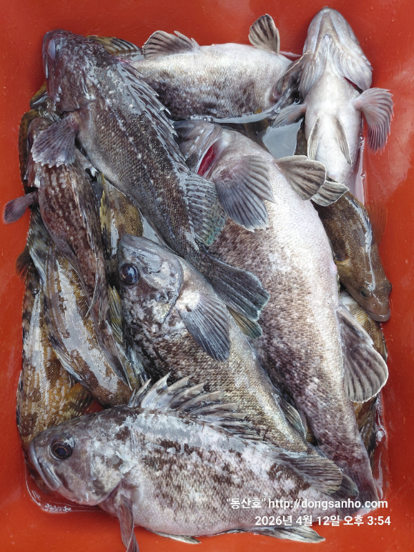
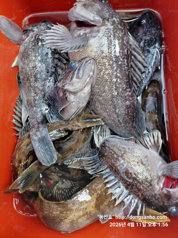
     서해 동산피싱 "동산호" 우럭낚시 조황

날짜 : 4/10~12
날씨 : 바람~해무
물때 : 조금~1물
성적 : 우럭 노래미 볼락 삼식이 

4월 첫물때 시작부터 3일간 날씨가 엉망있네요
첫째날 둘째날은 바람때문에 고생들하시고
오늘은 해무때문에 10시에 출항 
조용히들 끝까지 기다려주셔서 너무 감사했습니다.

이번 물때부터는 수온도 어느정도 올라와주었는데도
날씨때문인지 우럭들이 시원시원하게 물어주지않네요.
다행히도 노래미는 잘 물어주어서 물통을 채우지만 고기들 
반응이 어렵다보니 같은날에 30수이상부터 10수미만까지 
많이 잡으신분 못잡은분 개인별 조황차이도 많이나네요.

4월 시작부터 날씨도 고기들 반응들도 별루여서 하루하루 고비
그래도 계속해서 더 열심히 찍어보겠습니다.

찾아주신 모든분들 수고들하셨습니다.

☆ 출조전날 안내문자 꼭 확인하세요.

※5월부터 사릿물에도 출조 광어 + 우럭 병행출조합니다.
※가을 쭈갑낚시 평일예약은 4월1일부터 예약진행 일정표확인
  주말휴일 예약은 5월부터 예약진행 일정표확인하세요.
※출조일정은 밴드홈 공지사항 예약현황에서 참고하세요.
※예약문의 : 010-8771-5168

20260410_134020.jpg


20260410_134043.jpg


20260411_135659.jpg


20260410_133921.jpg


20260411_135838.jpg


20260411_135949.jpg


20260411_140050.jpg


20260411_140226.jpg


20260412_155437.jpg


20260412_155536.jpg


20260412_155621.jpg


20260412_155937.jpg


20260412_160157.jpg

 



*** 장고항 선상낚시 동산피싱 예약 안내 ***


예약문의 : 010-8771-5168

오시는길 : 충남 당진시 석문면 장고항리1452 (동산호)

모바일.gif



Top