조황관리HOME / 조황관리 / 상세정보

제목 : 4/13 내만권 우럭낚시 조황입니다.
등록일 : 2026-04-14

◇ 장고항 선상낚시 배낚시 바다낚시 낚시배 
     서해 동산피싱 "동산호" 우럭낚시 조황

날짜 : 4/13
날씨 : 맑음 (굿~날씨 장판)
물때 : 2물
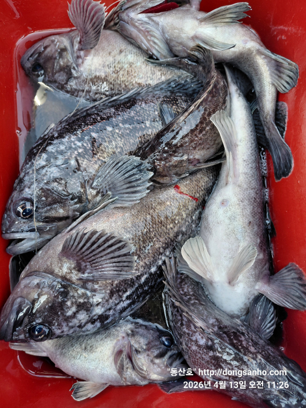
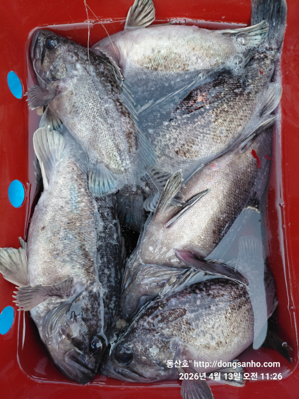
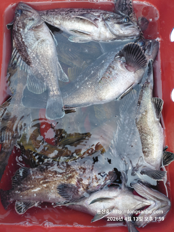
성적 : 광어 우럭 노래미 볼락

우럭낚시 4일째날
간만에 날씨가 기똥차게좋네요.

날씨가 도와주나요 오늘은 우럭입질이 조금 살아났네요.
11시전에 씨알좋은 우럭들로 물통 꽉 채우신분도 나오네요.
우럭낚시 초보분들도 80세가 넘으신 40년생 단골 어르신까지
오늘은 모든분들이 두자리수 이상들하셨네요.

찾아주신 모든분들 수고들하셨습니다.

☆ 출조전날 안내문자 꼭 확인하세요.

※5월부터 사릿물에도 출조 광어 + 우럭 병행출조합니다.
※가을 쭈갑낚시 평일예약은 4월1일부터 예약진행 일정표확인
    주말휴일 예약은 5월부터 예약진행 일정표확인하세요.
※출조일정은 밴드홈 공지사항 예약현황에서 참고하세요.
※예약문의 : 010-8771-5168

20260413_081426.jpg


20260413_095718.jpg


20260413_124724.jpg


20260413_112616.jpg


20260413_112641.jpg


20260413_135659.jpg


20260413_135802.jpg


20260413_135852.jpg


20260413_135944.jpg


20260413_140013.jpg


20260413_140144.jpg


20260413_140234.jpg


20260413_140322.jpg


20260413_142732.jpg


20260413_091136.jpg

 



*** 장고항 선상낚시 동산피싱 예약 안내 ***


예약문의 : 010-8771-5168

오시는길 : 충남 당진시 석문면 장고항리1452 (동산호)

모바일.gif



Top