조황관리HOME / 조황관리 / 상세정보

제목 : 4/14 내만권 우럭낚시 조황입니다.
등록일 : 2026-04-15

◇ 장고항 선상낚시 배낚시 바다낚시 낚시배 
     서해 동산피싱 "동산호" 우럭낚시 조황

날짜 : 4/14
날씨 : 맑음 (굿~날씨 장판)
물때 : 3물
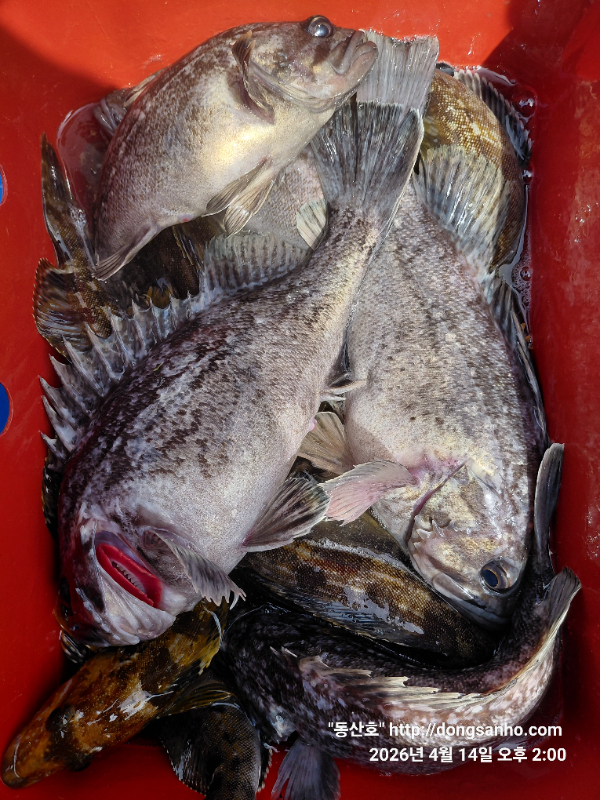
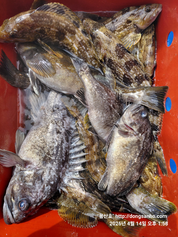
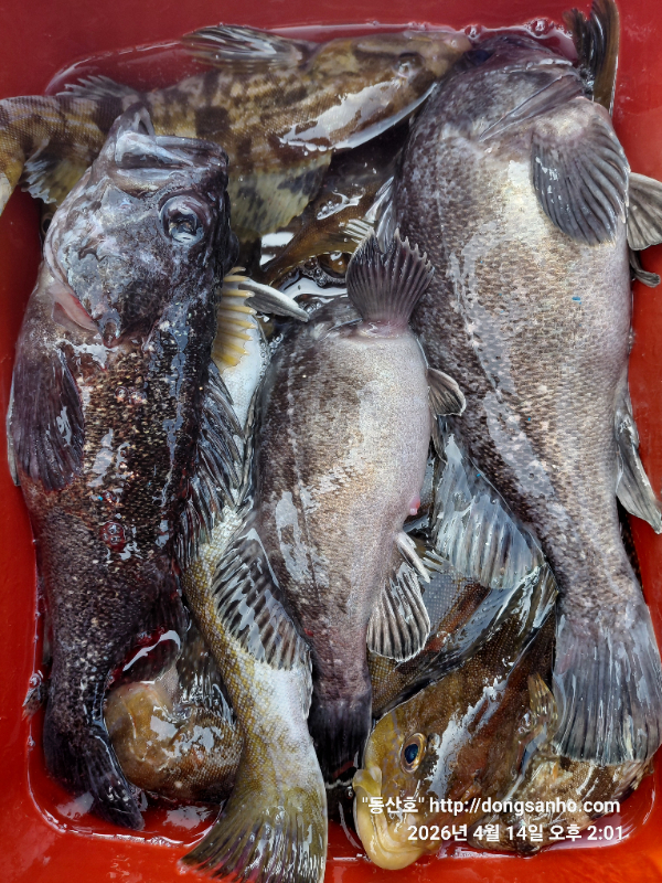
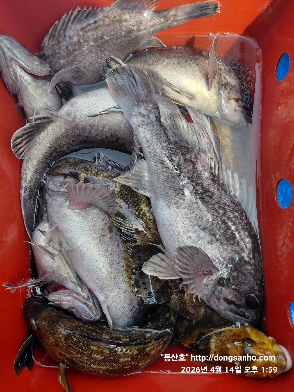
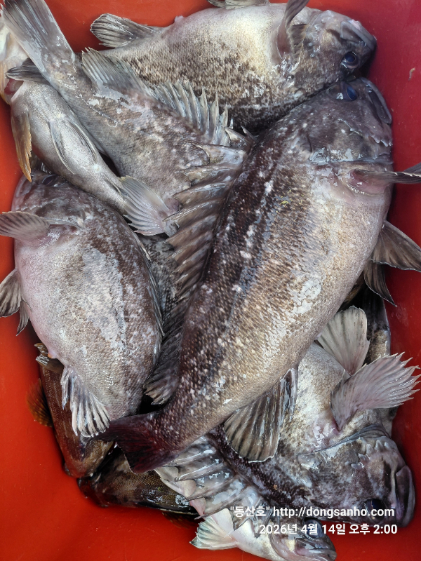
성적 : 광어 우럭 노래미 볼락

우럭낚시 5일째날
오늘도 날씨가 기똥차게좋네요.

출항해서 한번은 우럭 올라오고 또 그다음은 노래미 올라오고 반복 
하다가 오전에 한번 우당탕탕~ 돼지우럭 팔뚝 노래미로 한번주더니
이후로 우럭은 띄엄띠엄 하루종일 노래미는 줄기차게 나오네요.
오늘 노래미로 만쿨들하셨네요.

찾아주신 모든분들 수고들하셨습니다.

☆ 출조전날 안내문자 꼭 확인하세요.

※5월부터 사릿물에도 출조 광어 + 우럭 병행출조합니다.
※가을 쭈갑낚시 평일예약은 4월1일부터 예약진행 일정표확인
  주말휴일 예약은 5월부터 예약진행 일정표확인하세요.
※출조일정은 밴드홈 공지사항 예약현황에서 참고하세요.
※예약문의 : 010-8771-5168

20260414_080023.jpg


20260414_082749.jpg


20260414_082807.jpg


20260414_082853.jpg


20260414_083253.jpg


20260414_084039.jpg


20260414_084050.jpg


20260414_135738.jpg


20260414_135827.jpg


20260414_135917.jpg


20260414_140008.jpg


20260414_140036.jpg


20260414_140120.jpg


20260414_140210.jpg


20260414_140259.jpg


20260414_140337.jpg


20260414_140507.jpg


20260414_140526.jpg

 



*** 장고항 선상낚시 동산피싱 예약 안내 ***


예약문의 : 010-8771-5168

오시는길 : 충남 당진시 석문면 장고항리1452 (동산호)

모바일.gif



Top